Signs You Have an Ant Problem Before It Gets Out of Control

Identifying early signs of an ant problem helps prevent it from getting out of control, and local contractors can provide effective solutions to eliminate them quickly.

Recognizing early signs of an ant problem can save property owners from the hassle and potential damage that comes with an out-of-control infestation. Small trails of ants, tiny piles of dirt near entry points, or unexplained food crumbs in hidden corners are common indicators that ants are establishing a foothold. Addressing these issues promptly can prevent a minor nuisance from turning into a larger, more challenging situation. Many local service providers specialize in ant control solutions, helping homeowners and business owners identify and eliminate these pests before they become difficult to manage.

Exploring the signs you have an ant problem before it gets out of control is especially practical for those who want to maintain a clean and pest-free environment. Ants can invade kitchens, storage areas, and even outdoor spaces, often unnoticed until the population has grown significantly. Engaging with experienced local contractors can provide effective strategies for early detection and targeted treatment. Keeping an eye out for early warning signs and seeking professional assistance can help preserve the comfort and integrity of any property.

Get Quotes for Ant Control

  • Ant control inspection - needed when signs of ant activity are noticed indoors or around the perimeter, and local contractors can identify entry points and nesting sites.
  • Ant baiting and trapping - appropriate when you see foraging ants or trails, with service providers placing bait stations to eliminate colonies effectively.
  • Barrier treatment services - recommended when ants are approaching the home, and local pros apply treatments to create a protective barrier against future invasions.
  • Nest removal and exclusion - required when nests are found inside walls or under foundations, with specialists safely removing nests and sealing entry points.
  • Preventive ant control consultations - useful when early signs of ant activity appear, and local contractors advise on ongoing prevention strategies to keep ants out.
Signs You Have An Ant Problem Before It Gets Out Of Control
Signs You Have An Ant Problem Before It Gets Out Of Control
Signs You Have An Ant Problem Before It Gets Out Of Control

When people search for signs you have an ant problem before it gets out of control, they are typically looking for early warning indicators that indicate an ant infestation is beginning to develop inside or around their property. Recognizing these signs early can help homeowners prevent a full-blown invasion that can be difficult and costly to manage later on. Common signals include the appearance of small trails of ants on countertops, floors, or walls, especially near food sources or entry points. Other clues might be tiny piles of dirt or debris in hidden corners, or noticing ants gathering around sugary spills or crumbs. Understanding what to look for allows property owners to act swiftly, often with the help of local contractors who specialize in ant control and removal.

This topic is closely related to property maintenance, pest management planning, and preventative measures. Ant problems can escalate quickly if ignored, leading to larger infestations that threaten food storage areas, kitchens, or even structural components if colonies establish inside walls or foundations. Many homeowners seek guidance on how to identify early signs so they can implement targeted strategies-such as sealing entry points, removing attractants, or scheduling professional treatments-before the situation becomes unmanageable. Local service providers experienced in ant control can assess the property, identify the source of the problem, and recommend tailored solutions to keep ant populations in check. Addressing these early signs can save time, money, and frustration in the long run.

Certain types of properties are more prone to ant issues, especially those with easy access points or abundant food and moisture sources. Residential homes, particularly those with gardens, decks, or outdoor storage, often encounter ant activity near their foundations or in landscaping beds. Commercial properties like restaurants, grocery stores, or food warehouses are also at higher risk because of the constant presence of food and waste. Even multi-family housing units, such as apartment complexes, can experience ant problems if preventative measures aren’t maintained. Recognizing the signs early on is especially important in these environments, where an unchecked ant infestation can quickly spread and impact multiple units or areas.

For homeowners and property managers, understanding how to spot the signs of an emerging ant problem connects directly to effective control efforts. Early detection allows for a strategic response, often involving local contractors who specialize in pest management. These professionals can evaluate the property for potential entry points, nesting sites, and attractants, then implement targeted treatments to eliminate colonies before they grow out of control. By staying vigilant for signs such as trail lines, small piles of dirt, or sudden increases in ant activity, property owners can take proactive steps that prevent extensive damage or inconvenience. Connecting with experienced local service providers ensures that the problem is addressed efficiently and effectively, helping to maintain a pest-free environment.

Pest Inspection Services - These projects involve thorough inspections to identify early signs of pest activity, similar to recognizing signs of an ant problem before it escalates.

Home Inspection Projects - Home inspection services help detect structural issues and hidden pest entry points that can lead to ant infestations if left unchecked.

Rodent Control Solutions - Managing rodent issues often requires planning and tools similar to ant control, focusing on identifying entry points and nesting sites.

Wildlife Exclusion Services - These projects involve sealing entry points to prevent pests, which aligns with early detection and prevention of ant invasions.

Structural Damage Repair - Repair projects address damage caused by pests and require planning skills comparable to identifying signs of an ant problem early.

Moisture Control Services - Controlling moisture helps prevent pest attraction, paralleling the importance of recognizing early signs of an ant problem before it gets out of control.

Signs You Have An Ant Problem Before It Gets Out Of Control

When evaluating local contractors for ant control services, it’s important to consider their experience with similar projects. A service provider that has handled ant infestations in residential settings can better understand the common signs of an early problem and the most effective strategies to address them. Homeowners should inquire about the types of ant issues the contractor has managed, as well as how familiar they are with identifying subtle signs that ants are establishing a foothold before the situation becomes unmanageable. An experienced contractor can provide insights into the typical progression of an ant problem and recommend proactive measures to prevent it from escalating.

Clear written expectations are essential when comparing service providers for ant control. Homeowners should seek detailed descriptions of what the service entails, including inspection procedures, treatment methods, and follow-up plans. Having a transparent outline helps ensure that both parties share an understanding of the scope of work and what results to anticipate. This clarity can also help homeowners assess whether the contractor’s approach aligns with their concerns about early signs of an ant problem and their desire to keep the situation under control before it worsens.

Reputable references and strong communication are key factors in selecting a reliable service provider. Homeowners are encouraged to ask for references from previous clients who experienced similar ant issues, as this can provide insight into the contractor’s ability to effectively address early signs of an infestation. Good communication throughout the process allows homeowners to ask questions, express concerns, and receive timely updates about the progress of the treatment plan. Choosing a contractor known for clear, responsive communication and positive references can help ensure that the homeowner’s expectations are managed and that the ant problem is addressed efficiently before it becomes a more significant challenge.

Get a Quote for Ant Control

Property owners often search for signs you have an ant problem before it gets out of control when they are planning practical projects around their homes and businesses. Local pros provide Ant Control services for everyday jobs and straightforward project options.

Signs You Have An Ant Problem Before It Gets Out Of Control
Signs You Have An Ant Problem Before It Gets Out Of Control

Recognizing early signs of an ant problem can help property owners address the issue before it becomes difficult to control. Common indicators include noticing small trails of ants crossing kitchen counters, along baseboards, or near entry points like doors and windows. Other signs might include tiny piles of dirt or debris near the foundation, or the presence of discarded wings from swarmers. Spotting these signs during routine cleaning or outdoor maintenance can prompt property owners to seek assistance from local contractors who specialize in ant control, ensuring the problem is managed effectively before it spreads further.

Property owners in the area often look up this topic to prevent minor ant sightings from escalating into a full-blown infestation. If ants are seen inside the home or around the yard, it may indicate a nest nearby or a breach in the property’s defenses. Engaging with experienced service providers can help identify the source of the problem and implement targeted solutions. Addressing these early warning signs with professional ant control services can save time and effort, keeping homes and outdoor spaces free of unwanted pests before the situation gets out of control.

Get a Quote for Ant Control

What are common early signs of an ant problem? Spotting small trails of ants, especially near food sources or entry points, can indicate an emerging infestation before it gets out of control. Local contractors can assess these signs and recommend appropriate treatment options.

How can I tell if ants are nesting inside my home? Signs include seeing ants in hidden areas, such as wall voids or under appliances, and noticing unexplained piles of debris or soil. Local service providers can identify nesting sites and eliminate them effectively.

What should I look for to detect an ant problem before it worsens? Persistent ant activity around windows, doors, or baseboards, along with unexplained food crumbs or sugar trails, are indicators. Local pros can help evaluate these signs and prevent a full-scale infestation.

Are there specific behaviors that suggest ants are establishing a colony nearby? Increased ant sightings during certain times of day or finding large groups gathering around outdoor structures may signal colony establishment. Local contractors can locate colonies and advise on control measures.

What are the risks of ignoring early signs of an ant infestation? Ignoring initial signs can lead to rapid colony growth, making control more difficult and increasing the likelihood of ants invading food and living spaces. Local service providers can assist in early detection and effective management.

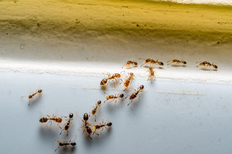
Visible ant trails - noticing trails of ants crossing your floors or countertops can indicate an active infestation that needs prompt attention from local contractors.

Unexpected ant sightings indoors - seeing ants inside the home, especially in kitchens or near food sources, suggests an early problem that local pros can help control.

Ants near entry points - observing ants around doors, windows, or foundation cracks may signal entry points that require sealing and treatment from experienced service providers.

Swarm activity or new nests - discovering swarmers or new ant colonies outdoors can be a sign of a developing problem that local contractors can address before it spreads.

Signs You Have An Ant Problem Before It Gets Out Of Control

If you are thinking about signs you have an ant problem before it gets out of control for a property, this guide is meant to help you understand this topic, the typical project types, and how different options might fit your plans.

When you are ready, you can use the quote form on this page to share a few details about your project. From there, local pros can review the basics and follow up with options that match what you have in mind.

Get a Quote for Ant Control

Ant Control Quotes

Our Trusted Partners
Cantu Pest Control
Orkin
Hawx Pest Control