Local Service Overview

Get Ants Extermination Service in Collin County, TX

Ants extermination services for property owners in Collin County, TX, address ant infestations, prevent future outbreaks, and handle residential and commercial pest control projects.

Collin County, TX

Ants extermination services are an important consideration for property owners in Collin County, TX, seeking to maintain a comfortable and functional living or working environment. Effective removal helps prevent infestations that can disrupt daily activities, damage property, or contaminate food supplies. By addressing ant problems promptly, property owners can enjoy peace of mind, knowing that their spaces are safer and more inviting for family, employees, or visitors.

Choosing professional ant extermination services also offers benefits related to durability and reduced maintenance. Proper treatment can prevent future invasions, preserving the integrity of structures and reducing the need for repeated interventions. Additionally, a pest-free property enhances curb appeal, making it more attractive and welcoming. Engaging experienced service providers ensures that ant issues are managed efficiently, supporting long-term comfort and safety.

Get Ants Extermination Service Quotes

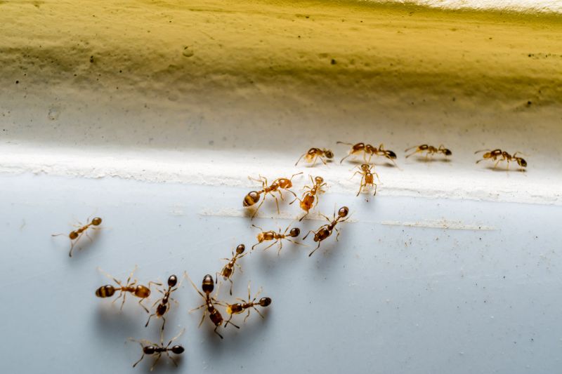
  • Ants Extermination - needed when ants invade kitchens, pantries, or other indoor spaces in residential or commercial properties.
  • Ants Extermination - required when persistent ant colonies threaten to spread across yards or outdoor areas in Collin County and surrounding regions.
  • Ants Extermination - necessary when ant trails are visible inside buildings, indicating an active infestation that needs professional attention.
  • Ants Extermination - sought after when ant activity increases during warm months, prompting homeowners to seek expert pest control solutions.
  • Ants Extermination - appropriate when ant nests are found in lawns, gardens, or near foundations, requiring targeted treatment by local specialists.

Get Ants Extermination Service Quotes

Ants Extermination Service
Ants Extermination Service
Ants Extermination Service

Ants extermination services involve the identification and elimination of ant infestations within residential, commercial, or industrial properties. Trained service providers typically conduct thorough inspections to locate ant colonies and determine the species involved. Treatment methods may include the application of targeted baits, insecticides, or barrier treatments designed to effectively eradicate ants and prevent future invasions. The goal is to address the root of the problem while minimizing disruption to the property and its occupants.

Ant problems can cause significant inconvenience and property damage, especially when colonies establish themselves indoors or around structural foundations. Common issues include the presence of large ant colonies, trails leading into buildings, and the potential for ants to contaminate food supplies. Extermination services help to control and eliminate these pests, reducing the risk of ongoing infestations and the nuisance they create. Proper treatment can also help prevent the spread of ants to other areas of the property.

Properties that typically utilize ants extermination services include single-family homes, apartment complexes, restaurants, and retail stores. Homes often seek treatment to protect food storage areas and prevent damage to wood structures. Commercial properties, especially food service establishments, may require regular pest control to meet health and safety standards. Additionally, warehouses and storage facilities with packaging materials may be targeted for extermination to avoid contamination and maintain a pest-free environment.

Professional ant extermination services are designed to address a variety of ant species, including carpenter ants, odorous house ants, and fire ants. Service providers tailor their approach based on the specific type of ant and the severity of the infestation. The services typically involve a combination of inspection, treatment, and follow-up to ensure the problem is fully resolved. Contacting local pest control providers can help property owners and managers find effective solutions to ant problems and maintain a pest-free environment.

The overview below groups typical Ants Extermination Service projects into broad ranges so you can see how smaller, mid-sized, and larger jobs often compare in Collin County, TX.

In many markets, a large share of routine jobs stays in the lower and middle ranges, while only a smaller percentage of projects moves into the highest bands when the work is more complex or site conditions are harder than average.

Initial Inspection - The cost for an ant extermination inspection typically ranges from $100 to $250, depending on property size and complexity. This fee often covers a thorough assessment to identify ant activity and entry points.

Per-Visit Treatment - Single-treatment services usually cost between $150 and $300. The price varies based on the extent of the infestation and the treatment method used by local service providers.

Comprehensive Treatment Packages - Multi-visit or ongoing treatment plans can range from $300 to $600. These packages often include follow-up visits to ensure ant colonies are fully eradicated.

Emergency or Specialized Services - Emergency or specialized ant extermination services may cost upwards of $400, depending on the urgency and specific challenges presented by the infestation. Prices vary among local providers based on service scope.

Actual totals will depend on details like access to the work area, the scope of the project, and the materials selected, so use these as general starting points rather than exact figures.

Get an Ants Extermination Service Quote

Ants Extermination services focus on eliminating ant colonies from residential and commercial properties in Collin County, TX. Local pros use targeted methods to address ant infestations effectively.

Ant Control solutions involve identifying ant entry points and applying treatments to prevent future invasions. Professionals customize strategies based on the specific ant species present.

Ant Removal services aim to safely and efficiently remove ants from indoor and outdoor spaces. Experienced providers ensure the infestation is thoroughly eradicated.

Ant Prevention programs help maintain pest-free environments by implementing barrier treatments and advising on sanitation practices. Local experts offer ongoing support to prevent re-infestation.

Ant Barrier Treatments involve applying protective barriers around properties to block ant access. These treatments are part of comprehensive pest management plans offered by local service providers.

Ant Infestation Inspection services include thorough assessments to identify ant activity and nesting sites. Inspections help determine the most effective extermination approach.

Ants Extermination Service

When comparing ant extermination services, experience is a key factor to consider. Local professionals who have been operating in Collin County and surrounding areas for several years typically possess extensive knowledge of ant behaviors and effective treatment methods. It’s beneficial to review the backgrounds of potential service providers, focusing on their familiarity with local ant species and common infestation patterns. Experienced pros are more likely to understand the nuances of treatment options suited to specific environments, which can contribute to more effective and lasting results.

Clear communication and well-defined written expectations are essential when selecting an ant extermination service. Reputable local providers often outline their service procedures, what homeowners can expect during treatment, and any necessary follow-up steps. Ensuring that the service provider communicates openly about their methods and provides detailed information can help homeowners feel confident about the process. A professional who maintains transparent communication can also address questions or concerns promptly, fostering a smoother service experience.

Reputable references and positive feedback from previous clients can serve as valuable indicators of a service provider’s reliability and quality of work. Local pros with a strong reputation often have a history of satisfied customers within the community. When evaluating options, it’s helpful to seek out references or reviews that highlight the provider’s professionalism, effectiveness, and responsiveness. Additionally, reliable communication channels and a willingness to provide clear, written expectations can further support homeowners in making an informed decision when choosing a local ant extermination service.

Get an Ants Extermination Service Quote

Property owners in Collin County, TX use Ants Extermination Service services for practical projects around their homes and businesses. The sections below highlight everyday jobs and straightforward project options.

Ants Extermination Service
Ants Extermination Service

Ants Extermination Service providers in Collin County, TX, are commonly sought after for residential and commercial properties experiencing ant infestations. Property owners may notice persistent ant trails, increased activity around kitchens or outdoor areas, or discover nests in walls and foundations. These professionals can assess the extent of the problem and implement targeted treatments to eliminate colonies, helping to restore a pest-free environment.

In many cases, property owners turn to local ant extermination specialists to prevent future invasions and protect their homes or businesses. Common reasons include the desire to maintain a clean and hygienic space, prevent damage caused by ants, or avoid the nuisance of ongoing pest activity. Experienced service providers can offer solutions tailored to the specific types of ants found in Collin County, ensuring effective and lasting results.

Get an Ants Extermination Service Quote

How do ant extermination services work? Ant extermination services typically involve inspecting the property to identify ant colonies, applying targeted treatments to eliminate existing ants, and implementing preventive measures to reduce future infestations through the use of baits, barriers, or residual insecticides.

Are ant extermination treatments safe for pets and children? Most professional ant extermination treatments are designed to be safe when applied according to the provider’s instructions. It is recommended to follow any safety guidelines provided and keep pets and children away from treated areas until it is safe to re-enter.

How long does an ant extermination treatment last? The duration of effectiveness varies depending on the treatment method and the severity of the infestation. Typically, treatments can provide protection for several weeks to months, but ongoing prevention may be necessary.

Can ant extermination services prevent future infestations? Yes, professional services often include advice and preventive measures to help reduce the likelihood of future ant problems, such as sealing entry points and removing attractants around the property.

How can I prepare my home for ant extermination services? Preparation may involve clearing the areas around entry points, removing food and water sources, and following any specific instructions provided by the service provider to ensure effective treatment.

Ants Extermination Techniques - Local service providers can utilize a variety of proven methods to eliminate ant infestations effectively.

Inspection and Identification - Professionals can assess property conditions to identify ant entry points and nesting sites for targeted treatment.

Ongoing Prevention Strategies - Service providers often recommend measures to reduce attractants and prevent future ant problems.

Customized Treatment Plans - Local pros can develop tailored approaches based on the severity and type of ant infestation.

Ants Extermination Service

Considering Ants Extermination Service for a property in Collin County, TX? The sections above highlight common project types, practical options, and details that often shape the scope of work.

When you are ready, use the quote form to share a few details about your project. Local pros can review the basics and respond with options that match what you have in mind.

Get an Ants Extermination Service Quote

Ants Extermination Quotes

Our Trusted Partners
Cantu Pest Control
Orkin
Hawx Pest Control