Local Service Overview

Get Ants Extermination Service in Wylie, TX

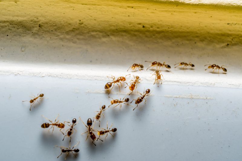
Ants extermination services for property owners in Wylie, TX, and nearby areas address ant infestations, prevent future invasions, and handle residential and commercial pest control projects.

Wylie, TX

Ants extermination services are essential for property owners in Wylie, TX seeking to maintain a comfortable and functional living environment. Effective pest control helps prevent ant infestations that can compromise the safety and cleanliness of a home or business, reducing the risk of damage to structures and stored goods. By addressing ant issues promptly, property owners can enjoy a more durable and low-maintenance space, minimizing ongoing pest-related concerns and preserving curb appeal.

Engaging professional ant extermination services offers benefits such as enhanced safety and peace of mind. Proper treatment methods not only eliminate existing colonies but also help prevent future invasions, ensuring the property remains secure and inviting. This proactive approach supports long-term durability and reduces the need for frequent interventions, enabling property owners in Wylie, TX to maintain a well-kept and appealing property with confidence.

Get Ants Extermination Service Quotes

  • Ants Extermination - A service needed when ants invade kitchens, dining areas, or outdoor spaces in Wylie, TX and nearby regions.
  • Ants Extermination - Professionals can address persistent ant issues in residential or commercial properties across the local area.
  • Ants Extermination - Required when ant colonies are found nesting indoors or around foundation areas in nearby communities.
  • Ants Extermination - Suitable for situations where ants are disrupting outdoor activities or garden spaces in the local vicinity.
  • Ants Extermination - A solution for preventing future ant infestations after initial removal efforts in Wylie, TX and surrounding locations.

Get Ants Extermination Service Quotes

Ants Extermination Service
Ants Extermination Service
Ants Extermination Service

Ants extermination services involve professional treatments designed to eliminate ant infestations from residential and commercial properties. These services typically include thorough inspections to identify the extent of the problem, followed by targeted application of pest control solutions. The goal is to eradicate existing colonies and prevent future invasions by addressing entry points, nesting sites, and food sources that attract ants. Professionals may utilize various methods, such as baiting systems, residual sprays, or dusts, tailored to the specific type of ants and the property’s unique conditions.

Ant infestations can cause numerous issues, including property damage, contamination of food supplies, and general nuisance. Certain ant species, like carpenter ants, can compromise the structural integrity of wooden elements within buildings, leading to costly repairs if not addressed promptly. Additionally, ants often invade kitchens, pantries, and dining areas, contaminating food and creating unsanitary conditions. Effective extermination services help resolve these problems by removing colonies and implementing preventative measures to reduce the likelihood of recurring infestations.

Properties that commonly utilize ants extermination services include single-family homes, apartment complexes, restaurants, and food storage facilities. Residential properties are frequently affected by ants seeking food and water sources, especially during warmer months. Commercial establishments, particularly those involved in food preparation or storage, rely on professional pest control to maintain hygiene standards and comply with health regulations. Even outdoor spaces, such as gardens and patios, may require treatment to control ant populations and prevent them from migrating indoors.

Engaging with local pest control providers for ant extermination services ensures that property owners receive tailored solutions suited to their specific needs. These professionals conduct detailed assessments to determine the most effective treatment strategies and help implement ongoing pest management plans. Whether dealing with a minor ant presence or a significant infestation, connecting with experienced local service providers can facilitate a prompt and effective response to eliminate ants and protect the property from future issues.

The overview below groups typical Ants Extermination Service projects into broad ranges so you can see how smaller, mid-sized, and larger jobs often compare in Wylie, TX.

In many markets, a large share of routine jobs stays in the lower and middle ranges, while only a smaller percentage of projects moves into the highest bands when the work is more complex or site conditions are harder than average.

Initial Inspection and Treatment - The cost for an initial ant inspection and treatment typically ranges from $100 to $250, depending on the property size and severity of the infestation. Example costs might be around $150 for a standard residential home. Local service providers may charge more for larger or more complex properties.

Perimeter Pest Control - Ongoing perimeter treatments to prevent ant entry usually cost between $50 and $150 per visit. For example, a quarterly service in Wylie, TX, might be around $120. Prices vary based on the extent of the property and treatment frequency.

Spot Treatments - Spot treatments for localized ant problems generally cost between $75 and $200 per session. For instance, treating a specific area in a home could be approximately $100. Costs depend on the size of the affected area and the treatment method used.

Annual Service Plans - Comprehensive annual ant control plans can range from $300 to $600, covering multiple treatments throughout the year. An example might be a plan in nearby areas costing around $450. Prices vary based on coverage and service frequency offered by local pros.

Actual totals will depend on details like access to the work area, the scope of the project, and the materials selected, so use these as general starting points rather than exact figures.

Get an Ants Extermination Service Quote

Ants Extermination - Local pest control providers offer targeted services to eliminate ant colonies and prevent future infestations in residential and commercial properties.

Ants Prevention Solutions - Service providers implement preventive measures to reduce the likelihood of ant invasions through sealing entry points and advising on sanitation practices.

Commercial Ant Control - Businesses can contact local pros for specialized ant extermination services to maintain a pest-free environment and protect their operations.

Residential Ant Removal - Homeowners in Wylie, TX, and nearby areas can connect with local experts to address ant problems effectively within their homes.

Eco-Friendly Ant Treatments - Some service providers utilize environmentally conscious methods to control ant populations while minimizing chemical use.

Emergency Ant Extermination - Immediate response services are available from local pest control professionals for urgent ant infestation issues.

Ants Extermination Service

When choosing a local ant extermination service, it is important to consider the experience of the providers in handling pest issues specific to the Wylie, TX area. Experienced professionals often have a deeper understanding of ant behavior and the most effective treatment methods, which can contribute to more efficient and reliable results. Homeowners should look for service providers with a proven track record in ant control, as this can indicate familiarity with local ant species and common challenges encountered in the region.

Clear and written expectations are essential when working with a pest control professional. Reputable providers typically outline the scope of services, treatment procedures, and any necessary follow-up actions in their communications. Having detailed information in writing can help homeowners understand what to anticipate and ensure that the services align with their needs. It is advisable to seek providers who are transparent about their methods and provide comprehensive explanations of the treatment process.

Reputable references and strong communication are key indicators of trustworthy local pros. References from previous clients can offer insights into the quality of service and the professionalism of the provider. Additionally, effective communication-whether through prompt responses, clarity in explanations, or willingness to address questions-can enhance the overall experience. Homeowners are encouraged to contact multiple service providers to compare their reputation, responsiveness, and clarity before making a decision.

Get an Ants Extermination Service Quote

Property owners in Wylie, TX use Ants Extermination Service services for practical projects around their homes and businesses. The sections below highlight everyday jobs and straightforward project options.

Ants Extermination Service
Ants Extermination Service

Ants extermination services are often sought after by property owners in Wylie, TX, who notice ant activity around their homes or businesses. Common situations include discovering ant trails along walls, entry points near windows or doors, or nests in gardens and landscaping. These services help address immediate concerns of ant invasions, preventing them from spreading further inside the property and causing potential damage or contamination.

Property owners may also seek ant extermination to protect food storage areas, reduce nuisance pests, or maintain a clean and comfortable living environment. In Wylie, TX, where warm weather can encourage ant activity, professional extermination providers offer targeted solutions to eliminate colonies and prevent future infestations. Contacting local pest control specialists can help ensure effective management of ant problems in residential and commercial properties.

Get an Ants Extermination Service Quote

How do ant extermination services work? Ant extermination services typically involve assessing the extent of the infestation, identifying ant species, and applying targeted treatments to eliminate colonies and prevent future invasions.

Are there different methods for ant control? Yes, local service providers may use various methods such as baiting, residual sprays, or dust treatments depending on the ant species and infestation severity.

How long does ant extermination usually take? The duration varies based on the infestation size, but most treatments are completed within a few hours, with follow-up recommendations provided by the service provider.

Is ant extermination safe for pets and children? Professional ant extermination services use treatments designed to minimize risks, but it’s recommended to follow any safety instructions provided by the service provider.

How can I prevent future ant problems? Local pros often suggest sealing entry points, maintaining clean surroundings, and implementing ongoing pest management practices to reduce the likelihood of re-infestation.

Ants Extermination Techniques - Local service providers utilize various methods such as baiting, trapping, and residual treatments to eliminate ant infestations effectively.

Identifying Ant Problems - Pros can assess the extent of an ant issue and determine the most appropriate treatment approach for residential and commercial properties.

Preventative Ant Control - Service providers offer advice and treatments to help prevent future ant invasions and keep properties ant-free long-term.

Customized Ant Extermination Plans - Professionals develop tailored strategies based on the specific ant species and property conditions to ensure thorough removal.

Ants Extermination Service

Considering Ants Extermination Service for a property in Wylie, TX? The sections above highlight common project types, practical options, and details that often shape the scope of work.

When you are ready, use the quote form to share a few details about your project. Local pros can review the basics and respond with options that match what you have in mind.

Get an Ants Extermination Service Quote

Ants Extermination Quotes

Our Trusted Partners
Cantu Pest Control
Orkin
Hawx Pest Control