Local Service Overview

Get Ants Extermination Service in Nevada, TX

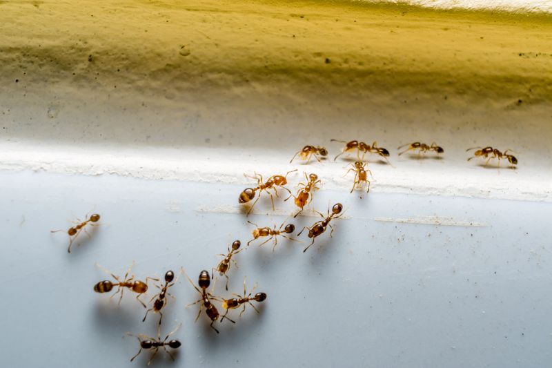
Ants extermination services for property owners in Nevada, TX, and nearby areas address ant infestations, including residential and commercial ant control projects.

Nevada, TX

Ants extermination services are a practical solution for property owners in Nevada, TX seeking to maintain a comfortable and functional living or working environment. Effective pest control helps prevent ant infestations that can compromise the usability of indoor spaces, reduce the risk of property damage, and protect food supplies. By addressing ant problems promptly, property owners can enjoy a safer and more inviting atmosphere, free from the nuisance and potential health concerns associated with these pests.

Choosing professional ant extermination services also offers benefits related to the durability and curb appeal of a property. Eliminating ant colonies can reduce recurring maintenance needs and prevent future infestations, helping to preserve the condition of structures and landscaping. A pest-free exterior enhances the overall appearance of the property, contributing to a positive impression and increased value. Engaging experienced local service providers ensures that effective, tailored solutions are implemented to meet specific needs.

Get Ants Extermination Service Quotes

  • Ants Extermination - When ants invade kitchens or food storage areas in Nevada and surrounding regions, professional extermination services can help eliminate the problem.
  • Ants Extermination - Homes and businesses experiencing persistent ant trails or nests in Texas may require expert treatment to control infestations.
  • Ants Extermination - Properties with outdoor ant colonies near gardens or patios in nearby areas can benefit from targeted extermination solutions.
  • Ants Extermination - When ant populations threaten to spread into living or working spaces, local pros can provide effective removal methods.
  • Ants Extermination - In cases where ants are found in hard-to-reach areas or structural gaps, professional services can address the issue thoroughly.

Get Ants Extermination Service Quotes

Ants Extermination Service
Ants Extermination Service
Ants Extermination Service

Ants extermination services involve the identification and elimination of ant colonies within a property. Professionals typically conduct thorough inspections to determine the extent of the infestation and locate nests, whether they are inside walls, beneath the foundation, or outdoors. Treatment methods may include targeted application of insecticides, baiting systems, and barriers to prevent future invasions. The goal is to reduce ant populations effectively and address the root causes of the infestation to prevent recurring issues.

Ant infestations can cause a range of problems for property owners. Aside from the nuisance of constant crawling, ants can contaminate food supplies and surfaces, leading to hygiene concerns. Certain species, such as fire ants, pose health risks through painful stings, especially in outdoor areas used for recreation. Additionally, large colonies can cause structural damage by nesting in wood or insulation, which may compromise the integrity of the building over time.

Properties that typically utilize ant extermination services include residential homes, commercial establishments, and multi-unit residential complexes. Homes often seek treatment in kitchens, pantries, or around entry points where ants are observed. Commercial properties, such as restaurants or food storage facilities, require pest control to maintain sanitation standards and comply with health regulations. Apartment buildings and condominiums also frequently need ongoing pest management to control infestations affecting multiple units.

Professional ant extermination services are essential for effectively managing and controlling ant populations. Local pest control providers offer tailored solutions based on the specific type of ant and the severity of the infestation. They use proven treatment techniques to eliminate colonies and implement preventive measures to reduce the likelihood of future invasions. Contacting a local pest control service can help property owners maintain a clean, safe, and pest-free environment.

The overview below groups typical Ants Extermination Service projects into broad ranges so you can see how smaller, mid-sized, and larger jobs often compare in Nevada, TX.

In many markets, a large share of routine jobs stays in the lower and middle ranges, while only a smaller percentage of projects moves into the highest bands when the work is more complex or site conditions are harder than average.

Initial Inspection Cost - Typically ranges from $50 to $150 for a professional assessment of ant activity. The fee varies based on property size and complexity of the infestation.

Per-Visit Treatment Fees - Single treatments generally cost between $100 and $300. Larger or more severe infestations may require multiple visits, increasing the overall expense.

Ongoing Service Plans - Regular quarterly or monthly treatments can range from $200 to $600 per year. These plans aim to prevent future ant problems through scheduled interventions.

Emergency or One-Time Service - Urgent or one-off extermination services might cost between $150 and $400, depending on the extent of the ant issue and property size.

Actual totals will depend on details like access to the work area, the scope of the project, and the materials selected, so use these as general starting points rather than exact figures.

Get an Ants Extermination Service Quote

Ants Extermination - Local pest control providers offer targeted treatments to eliminate ant colonies and prevent future invasions in residential and commercial properties.

Ants Prevention - Service providers can implement proactive measures to reduce attractants and seal entry points, helping to keep ants out of homes and businesses.

Ants Inspection - Professionals conduct thorough inspections to identify ant activity, nesting sites, and potential entry points for more effective treatment planning.

Ants Baiting - Experts utilize baiting systems to attract and eliminate ants at the source, reducing the likelihood of a recurring infestation.

Ants Removal - Local pros provide removal services to safely and efficiently eradicate ant populations from affected areas.

Ants Control Consultation - Service providers offer advice on integrated pest management strategies to control and prevent ant problems effectively.

Ants Extermination Service

When comparing local ant extermination service providers, experience is an important consideration. Homeowners should look for pros who have a proven track record in handling ant infestations similar to their situation. Established providers often bring a depth of knowledge and familiarity with common local ant species and effective treatment methods. It’s beneficial to review how long a contractor has been operating in the area, as well as their specialization in pest control services, to ensure they possess the relevant expertise for the job.

Clear and written expectations are essential for a smooth service experience. Reputable providers typically outline their treatment approaches, what homeowners can expect during the process, and any follow-up procedures. Having this information documented helps establish transparency and ensures that homeowners are well-informed about the scope of work. When evaluating options, it’s useful to request detailed descriptions of the methods used and any preparations needed before service begins, which can help prevent misunderstandings.

Reputation and communication are key factors in selecting a local pest control provider. Homeowners should seek out service providers with reputable references or positive feedback from previous clients in the area. Good communication involves timely responses, clear explanations of services, and the ability to address any questions or concerns. Since the site introduces local options rather than performing the work directly, it’s advised to contact multiple providers to gauge their responsiveness and professionalism before making a decision.

Get an Ants Extermination Service Quote

Property owners in Nevada, TX use Ants Extermination Service services for practical projects around their homes and businesses. The sections below highlight everyday jobs and straightforward project options.

Ants Extermination Service
Ants Extermination Service

Ants extermination services are commonly sought by property owners in Nevada, TX who are dealing with persistent ant infestations in residential or commercial spaces. Common situations include discovering large ant colonies inside kitchens, basements, or outdoor areas, especially during warmer months when ants become more active. Property owners may look for professional assistance to effectively eliminate these pests and prevent future invasions, ensuring a clean and pest-free environment.

Additionally, property owners might seek ants extermination when noticing signs of ant activity such as trails, nests, or damage caused by foraging ants. These services are often needed to address issues in both new and longstanding properties, particularly in areas where ants pose a nuisance or risk to food storage, structures, or landscaping. Local service providers can help develop tailored solutions to manage and control ant problems efficiently.

Get an Ants Extermination Service Quote

How do ant extermination services work? Ant extermination services typically involve inspecting the property to identify ant species and nests, then applying targeted treatments to eliminate colonies and prevent future infestations.

Are ant extermination treatments safe for pets and children? Most professional ant treatments are designed to be safe when applied by experienced technicians, but it's recommended to follow any specific safety instructions provided by the service provider.

How long does an ant extermination treatment last? The duration of effectiveness varies depending on the treatment method and level of infestation, with many services offering ongoing prevention options.

Can ant extermination services prevent future ant problems? Yes, many services include preventative measures to reduce the likelihood of ants returning, such as sealing entry points and advising on sanitation practices.

How can I prepare my home for ant extermination? Preparation may involve cleaning surfaces, removing food and water sources, and clearing areas around entry points to allow technicians to access problem areas effectively.

Ants Control Solutions - Local pest control providers offer targeted treatments to eliminate ant colonies and prevent future infestations.

Inspection and Identification - Pros can assess property conditions to identify ant entry points and nesting areas for effective treatment planning.

Preventive Strategies - Service providers recommend sealing cracks and removing attractants to reduce the likelihood of ant re-infestation.

Ongoing Monitoring - Professionals can establish maintenance plans to monitor ant activity and ensure long-term control.

Ants Extermination Service

Considering Ants Extermination Service for a property in Nevada, TX? The sections above highlight common project types, practical options, and details that often shape the scope of work.

When you are ready, use the quote form to share a few details about your project. Local pros can review the basics and respond with options that match what you have in mind.

Get an Ants Extermination Service Quote

Ants Extermination Quotes

Our Trusted Partners
Cantu Pest Control
Orkin
Hawx Pest Control