Local Service Overview

Get Ants Extermination Service in Frisco, TX

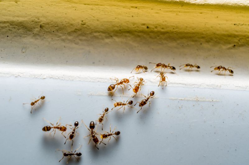
Ants extermination services for property owners in Frisco, TX, and nearby areas address ant infestations, prevent future invasions, and handle residential and commercial pest control projects.

Frisco, TX

Ants extermination services provide property owners in Frisco, TX with an effective solution to manage and prevent ant infestations. These services help maintain a clean and comfortable living or working environment by eliminating pests that can invade kitchens, storage areas, and outdoor spaces. Proper pest control can also reduce the risk of damage to structures and belongings caused by persistent ant activity, ensuring the property remains functional and visually appealing.

Choosing professional ant extermination offers benefits such as enhanced safety and reduced maintenance efforts. By addressing ant problems promptly, property owners can enjoy peace of mind knowing their spaces are protected from potential infestations that may compromise safety or cause inconvenience. Additionally, effective pest control can contribute to improved curb appeal, making properties more attractive and well-kept for residents, visitors, or potential buyers.

Get Ants Extermination Service Quotes

  • Ant Infestation Removal - needed when ants invade kitchens, pantries, or other indoor spaces in residential or commercial properties.
  • Outdoor Ant Control - required to eliminate ant colonies around yards, gardens, or building exteriors in suburban neighborhoods.
  • Ant Prevention Services - useful for homeowners seeking to prevent future ant invasions in high-risk areas such as entry points or foundations.
  • Carpenter Ant Treatment - necessary when signs of wood damage or large ant colonies are present in homes or structures.
  • Emergency Ant Extermination - appropriate for sudden, large ant outbreaks that require immediate professional attention.

Get Ants Extermination Service Quotes

Ants Extermination Service
Ants Extermination Service
Ants Extermination Service

Ants extermination services involve identifying and eliminating ant infestations within residential, commercial, or industrial properties. Professionals typically conduct thorough inspections to determine the extent of the problem and locate ant colonies, including hidden nests. Treatment methods may include the application of targeted insecticides, baiting systems, and barrier treatments designed to eradicate existing ants and prevent future invasions. These services aim to address the root causes of ant problems, ensuring a comprehensive approach to pest control.

Ant infestations can cause various issues for property owners, including damage to structures, contamination of food supplies, and general nuisance. Certain ant species, such as carpenter ants, are known to cause structural damage by burrowing into wood, while others, like odorous house ants, can quickly multiply and become difficult to control. Effective extermination services help mitigate these problems by removing active colonies and reducing the likelihood of recurring infestations, thereby maintaining a cleaner and safer environment.

Properties that commonly utilize ant extermination services include residential homes, especially those with kitchens and food storage areas, as well as commercial establishments such as restaurants, grocery stores, and food processing facilities. Additionally, office buildings, warehouses, and retail spaces may seek pest control to protect inventory and ensure compliance with health standards. The need for ant extermination can arise in various settings where food, moisture, or shelter attract ants, making professional intervention an essential part of pest management.

Engaging with local pest control providers ensures access to tailored ant extermination solutions suited to specific property types and infestation levels. These professionals use proven techniques and products to address ant issues effectively, helping property owners maintain pest-free environments. Contacting a local expert can facilitate a comprehensive approach to ant management, ensuring the problem is resolved efficiently and thoroughly.

The overview below groups typical Ants Extermination Service projects into broad ranges so you can see how smaller, mid-sized, and larger jobs often compare in Frisco, TX.

In many markets, a large share of routine jobs stays in the lower and middle ranges, while only a smaller percentage of projects moves into the highest bands when the work is more complex or site conditions are harder than average.

Initial Treatment Cost - The cost for an initial ant extermination service typically ranges from $150 to $300, depending on the size of the property and infestation level. For example, a standard residential treatment in Frisco, TX, might fall within this range.

Ongoing Maintenance - Follow-up treatments or maintenance visits generally cost between $75 and $200 per session. The frequency of visits influences the total expenditure over time.

Per-Infestation Service - For localized ant problems, service providers may charge between $100 and $250 per infestation. This is common for small areas or specific problem spots.

Commercial Property Costs - Commercial pest control services for ant extermination can range from $300 to over $1,000, depending on the property's size and complexity of treatment requirements.

Actual totals will depend on details like access to the work area, the scope of the project, and the materials selected, so use these as general starting points rather than exact figures.

Get an Ants Extermination Service Quote

Ants Extermination services involve identifying ant infestations and implementing targeted treatments to eliminate colonies effectively. Local pest control providers specialize in safe and thorough ant removal for residential and commercial properties.

Ant Control for Homes focuses on eliminating ant populations within residences, including kitchens, basements, and entry points, to prevent further invasions. Local pros use a variety of techniques tailored to specific ant species.

Commercial Ant Extermination services address ant issues in business environments, ensuring minimal disruption while effectively managing infestations. Experienced providers apply strategies suitable for different commercial settings.

Outdoor Ant Treatment involves treating lawns, gardens, and exterior structures to create a barrier against ant entry and nesting sites. Local pest control experts target outdoor colonies to protect property perimeters.

Ant Prevention Services include inspections and recommendations to reduce the risk of future ant invasions, often involving habitat modification and ongoing monitoring by service providers. These efforts help maintain ant-free environments.

Emergency Ant Extermination services are available for urgent infestations requiring immediate attention to prevent widespread ant problems. Local providers respond promptly to address severe ant invasions effectively.

Ants Extermination Service

When evaluating local professionals for ant control services, experience is a key factor to consider. Homeowners should look for service providers with a proven track record in ant extermination, particularly those familiar with the specific types of ants common in areas like Frisco, TX. Experienced contractors often have refined techniques and a better understanding of effective treatment methods, which can contribute to more reliable results. It’s helpful to review the background of each provider, including how long they have been operating in the community and their history with similar pest issues.

Clear and written expectations are important when choosing a local ant extermination service. Reputable professionals typically provide detailed information about their treatment processes, what homeowners can expect during and after the service, and any necessary follow-up steps. Transparent communication helps ensure that homeowners understand the scope of work and any precautions needed, reducing misunderstandings and fostering trust. Service providers who outline their procedures in writing can also demonstrate professionalism and a commitment to clarity.

Reputable references and strong communication practices are indicators of reliable local pros. Homeowners should seek out providers with positive feedback from previous clients and a reputation for dependable service. Effective communication includes timely responses to inquiries, straightforward explanations of treatment options, and openness to questions. While the information below introduces local options, it is important to contact and evaluate each provider directly to determine their reputation and communication style, ensuring that the chosen professional aligns with the homeowner’s needs and expectations.

Get an Ants Extermination Service Quote

Property owners in Frisco, TX use Ants Extermination Service services for practical projects around their homes and businesses. The sections below highlight everyday jobs and straightforward project options.

Ants Extermination Service
Ants Extermination Service

Ants extermination services are commonly sought by property owners in Frisco, TX, dealing with persistent ant invasions that can occur in both residential and commercial spaces. These services are often needed when ants are found inside kitchens, bathrooms, or other areas where they pose a nuisance or potential health concern. Property owners may also look for professional assistance if ant colonies have become difficult to manage with DIY methods or if there is a recurring problem that requires targeted treatment to eliminate the colony and prevent future infestations.

In addition to indoor issues, property owners may seek ant extermination services for outdoor spaces such as yards, gardens, or around building foundations. Ant activity in these areas can lead to larger infestations that threaten the comfort and safety of a property. Local service providers can assess the extent of the problem, identify the species involved, and recommend appropriate treatment options to help maintain a pest-free environment in Frisco, TX.

Get an Ants Extermination Service Quote

How do ant extermination services work? Ant extermination services typically involve inspecting the property to identify ant colonies, applying targeted treatments to eliminate ants, and providing recommendations to prevent future infestations. Local service providers tailor their approach based on the ant species and extent of the problem.

Are ant treatments safe for pets and children? Many ant extermination methods are designed to be safe for homes when applied by professionals. It is advisable to discuss any concerns about pets or children with the service provider before treatment.

How long does an ant extermination treatment last? The duration of effectiveness varies depending on the treatment method and the severity of the infestation. Service providers can offer guidance on maintenance or follow-up treatments if needed.

What should I do to prepare for ant extermination services? Preparing for treatment may include clearing the area around ant trails, removing food and water sources, and following any specific instructions provided by the service provider to ensure effective treatment.

How can I prevent future ant infestations? Preventative measures include sealing entry points, maintaining cleanliness, and removing attractants. Local pest control professionals can advise on ongoing prevention strategies tailored to the property.

Ant Control Solutions - Local pest control providers offer targeted treatments to eliminate ant infestations and prevent future outbreaks.

Inspection and Identification - Professionals can assess property conditions to identify ant species and determine the most effective extermination methods.

Barrier and Bait Treatments - Service providers utilize barrier applications and baiting systems to control ant colonies around residential and commercial properties.

Ongoing Monitoring - Regular inspections and maintenance plans help ensure ant problems are managed and do not recur.

Ants Extermination Service

Considering Ants Extermination Service for a property in Frisco, TX? The sections above highlight common project types, practical options, and details that often shape the scope of work.

When you are ready, use the quote form to share a few details about your project. Local pros can review the basics and respond with options that match what you have in mind.

Get an Ants Extermination Service Quote

Ants Extermination Quotes

Our Trusted Partners
Cantu Pest Control
Orkin
Hawx Pest Control