Local Service Overview

Get Ants Extermination Service in Royse City, TX

Ants extermination services for property owners in Royse City, TX, address ant infestations, prevent future invasions, and handle residential and commercial pest control projects.

Royse City, TX

Ants extermination services provide property owners in Royse City, TX with effective solutions to manage and prevent ant infestations. Addressing these pests helps maintain a comfortable living or working environment by reducing the presence of unwanted insects that can invade kitchens, pantry areas, and other common spaces. Proper extermination not only enhances daily comfort but also contributes to a sense of safety by minimizing potential health risks associated with ant colonies and their potential to carry bacteria.

Choosing professional ant control services offers benefits such as improved property functionality and curb appeal. By eliminating ant populations, property owners can reduce the likelihood of structural damage caused by persistent nesting activity and decrease ongoing maintenance needs. A pest-free environment supports durability for building materials and preserves the aesthetic appeal of the property, making it a more inviting space for residents, visitors, or customers.

Get Ants Extermination Service Quotes

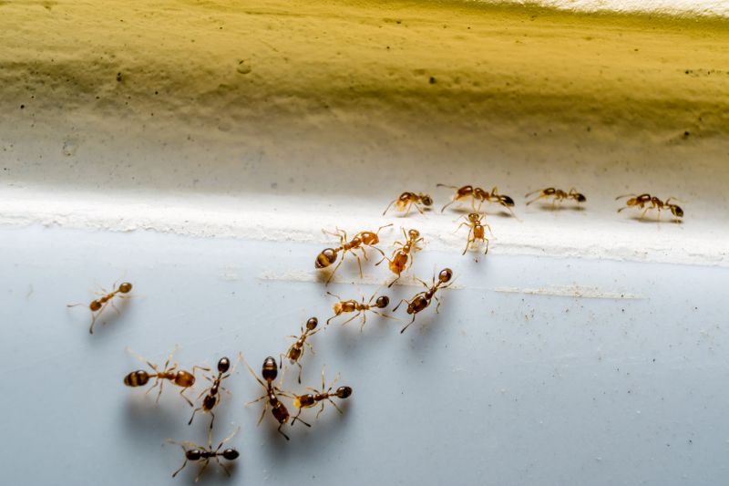
  • Ants Extermination - needed when ants invade homes or commercial spaces in Royse City, TX and nearby areas.
  • Ants Extermination - required to eliminate persistent ant colonies causing nuisance in residential neighborhoods.
  • Ants Extermination - essential when ants threaten food safety or contaminate kitchen areas in local properties.
  • Ants Extermination - sought after when ants are seen nesting outdoors and migrating indoors in nearby communities.
  • Ants Extermination - necessary for preventing future infestations after initial ant activity is detected in the area.

Get Ants Extermination Service Quotes

Ants Extermination Service
Ants Extermination Service
Ants Extermination Service

Ants extermination services involve identifying and eliminating ant infestations within residential, commercial, or industrial properties. Professionals typically conduct thorough inspections to locate the source of the ant activity and determine the extent of the problem. Treatment methods may include the application of targeted baits, insecticides, or barriers designed to prevent ants from entering the premises. The goal is to remove existing colonies and establish a barrier to reduce the likelihood of future invasions, helping property owners maintain a pest-free environment.

Ant infestations can cause a range of issues, from property damage to hygiene concerns. Certain species, such as carpenter ants, can compromise the structural integrity of wood structures, while others may contaminate food supplies or create unsanitary conditions. Additionally, some ants can bite or sting, posing health risks to residents or employees. Exterminating ants promptly and effectively can help prevent these problems from escalating, ensuring a safer and cleaner living or working space.

The services are commonly utilized on various property types, including single-family homes, apartment complexes, restaurants, and retail stores. Residential properties often seek ant extermination to protect food supplies and prevent damage to furniture or structures. Commercial establishments, especially those involved in food service or hospitality, prioritize pest control to comply with health standards and avoid business disruptions. Industrial facilities may also require specialized treatments to address large-scale infestations or sensitive environments.

Professional ant extermination services typically involve tailored solutions based on the specific property and infestation severity. Local pest control providers use a combination of inspection, treatment, and prevention strategies to address ant problems effectively. Engaging with experienced service providers can help property owners manage ant issues efficiently, ensuring a pest-free environment and reducing the likelihood of recurring infestations.

The overview below groups typical Ants Extermination Service projects into broad ranges so you can see how smaller, mid-sized, and larger jobs often compare in Royse City, TX.

In many markets, a large share of routine jobs stays in the lower and middle ranges, while only a smaller percentage of projects moves into the highest bands when the work is more complex or site conditions are harder than average.

Initial Inspection Cost - The cost for an initial ant inspection typically ranges from $50 to $150, depending on property size and complexity. Some providers may include a basic assessment within a service package. Prices can vary based on local market conditions.

Per-Apartment or Per-Unit Pricing - For multi-unit buildings or apartments, service providers often charge between $75 and $200 per unit. This includes targeted treatments and follow-up visits as needed. Costs may increase with larger or more infested properties.

Full Treatment Services - Complete ant extermination treatments generally cost between $150 and $400 for residential properties. Larger homes or heavily infested areas tend to fall at the higher end of this range. Additional treatments or follow-up visits may incur extra charges.

Maintenance or Follow-Up Fees - Follow-up treatments or maintenance plans can range from $50 to $150 per session. These are recommended to ensure ant problems are fully resolved and may be scheduled periodically. Costs vary based on the extent of the infestation and property size.

Actual totals will depend on details like access to the work area, the scope of the project, and the materials selected, so use these as general starting points rather than exact figures.

Get an Ants Extermination Service Quote

Ants Extermination services connect homeowners with local pest control providers experienced in removing ant infestations from residential and commercial properties.

Ants Control solutions offered by nearby specialists focus on identifying ant species and implementing targeted treatment methods to eliminate colonies.

Ants Pest Removal providers assist clients in managing ant problems through effective extermination techniques tailored to specific environments.

Ants Eradication services involve local professionals using proven approaches to eliminate ants and prevent future invasions in homes and businesses.

Ants Infestation Management services help property owners address severe ant infestations with comprehensive treatment plans from experienced local contractors.

Ants Prevention Services focus on strategies to reduce the likelihood of ant re-entry, with local experts providing ongoing maintenance advice and treatments.

Ants Extermination Service

When selecting a professional for ant extermination services, it’s important to consider the experience of local contractors. Established providers often have a history of handling ant infestations in residential settings similar to Royse City, TX, which can contribute to more effective and tailored solutions. Homeowners can review the backgrounds of different service providers to understand their familiarity with local ant species and common infestation patterns, helping to inform a more confident choice.

Clear communication and well-defined expectations are crucial when working with a pest control professional. Reputable local pros typically provide detailed information about their treatment methods, what homeowners can expect during and after the service, and any necessary follow-up steps. This transparency can help ensure that homeowners are well-informed and comfortable with the process, reducing uncertainties and fostering a smoother service experience.

References and reputation play a significant role in selecting a reliable ant extermination provider. Homeowners are encouraged to seek out local service providers with positive references from previous clients in the Royse City area. Checking reviews or testimonials can offer insights into the quality of work, professionalism, and customer satisfaction. Since this platform introduces local options rather than performing the work itself, it’s important to contact the service providers directly to verify their reputation and ensure they meet specific needs for ant control.

Get an Ants Extermination Service Quote

Property owners in Royse City, TX use Ants Extermination Service services for practical projects around their homes and businesses. The sections below highlight everyday jobs and straightforward project options.

Ants Extermination Service
Ants Extermination Service

Ants extermination services are commonly sought after by property owners in Royse City, TX, who notice ant activity around their homes or businesses. Common situations include seeing trails of ants along walls, countertops, or entry points, especially during warmer months when ant colonies become more active. Property owners might also request pest control help after discovering nests near foundations or in gardens, aiming to prevent potential damage or infestation spread within their buildings.

Many property owners seek ant extermination services to address recurring problems or prevent future invasions. Factors such as food spills, moisture issues, or gaps in the building’s exterior can attract ants, prompting residents and business owners to look for professional assistance. Engaging local pest control providers can help manage the problem effectively and reduce the likelihood of ants returning, ensuring a more comfortable and pest-free environment.

Get an Ants Extermination Service Quote

How do ant extermination services work? Ant extermination services typically involve inspecting the property to identify ant entry points and nests, followed by targeted treatments to eliminate the colony and prevent future infestations.

Are ant extermination treatments safe for pets and children? Most professional ant treatments are formulated to be safe when applied properly; however, it is recommended to discuss any concerns with the service provider before treatment.

How long does an ant extermination treatment take? The duration of treatment varies depending on the extent of the infestation, but most services can be completed within a few hours.

Will the ant problem return after treatment? While treatments can effectively eliminate current colonies, ongoing prevention and potential repeat treatments may be necessary to maintain a pest-free environment.

How can I prepare my home for ant extermination services? To prepare, clear the areas around entry points and ensure that service providers have access to affected areas; specific instructions may vary by provider.

Ants Removal Solutions - Local service providers offer targeted treatments to eliminate ant infestations and prevent future issues.

Inspection and Identification - Pros can assess property conditions to identify ant entry points and nesting areas for effective extermination strategies.

Preventive Pest Control - Experts recommend ongoing treatments and sanitation advice to reduce the likelihood of ant re-infestation.

Integrated Pest Management - Service providers may use a combination of methods to control ants while minimizing impact on the environment.

Ants Extermination Service

Considering Ants Extermination Service for a property in Royse City, TX? The sections above highlight common project types, practical options, and details that often shape the scope of work.

When you are ready, use the quote form to share a few details about your project. Local pros can review the basics and respond with options that match what you have in mind.

Get an Ants Extermination Service Quote

Ants Extermination Quotes

Our Trusted Partners
Cantu Pest Control
Orkin
Hawx Pest Control