Local Service Overview

Get Ants Extermination Service in Richardson, TX

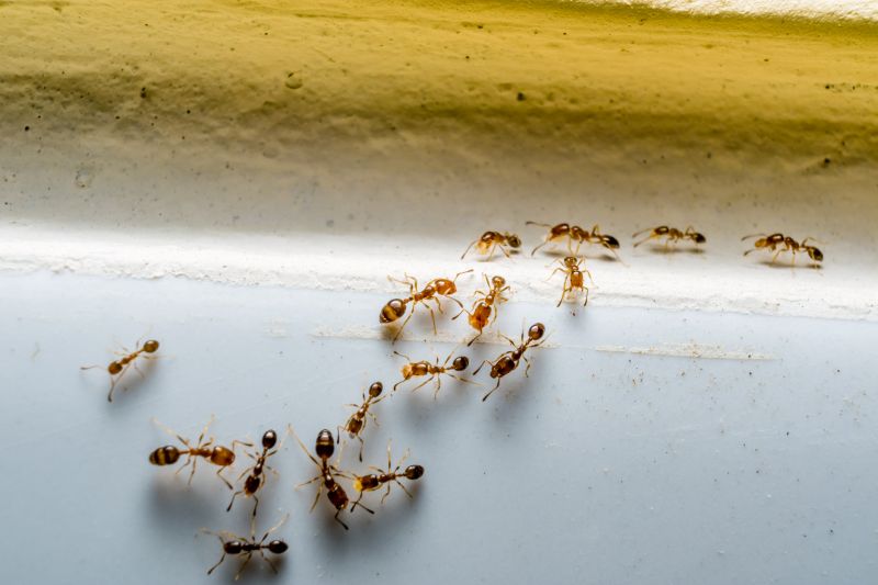
Ants extermination services for property owners in Richardson, TX, and nearby areas address ant infestations, including residential and commercial pest removal and prevention projects.

Richardson, TX

Ants extermination services are an essential consideration for property owners in Richardson, TX seeking to maintain a comfortable and functional living or working environment. Effective treatment helps prevent ant infestations that can disrupt daily routines, damage property, or contaminate food supplies. By addressing these issues promptly, property owners can enjoy increased safety and peace of mind, knowing their spaces are protected from common pest-related concerns.

Choosing professional ant extermination offers benefits that extend beyond immediate pest control. It can enhance curb appeal by keeping outdoor areas tidy and free of ant trails, while also reducing ongoing maintenance needs associated with ant colonies. Additionally, a well-executed extermination can contribute to the durability of structures by preventing damage caused by invasive pests, supporting a safe and inviting atmosphere for residents, employees, and visitors alike.

Get Ants Extermination Service Quotes

  • Ants Extermination - When ants invade kitchens or pantry areas in residential or commercial properties.
  • Ants Extermination - If outdoor ant colonies are spreading into yards or garden spaces in the Richardson, TX area.
  • Ants Extermination - During persistent ant activity that disrupts daily routines or causes nuisance indoors.
  • Ants Extermination - When new ant mounds appear around the foundation or landscaping of a property.
  • Ants Extermination - If ant trails are observed crossing walkways or entering through cracks and gaps.

Get Ants Extermination Service Quotes

Ants Extermination Service
Ants Extermination Service
Ants Extermination Service

Ants extermination services involve identifying and eliminating ant infestations within residential, commercial, or industrial properties. Professionals typically conduct thorough inspections to locate ant colonies and determine the species involved. Treatment methods may include targeted application of insecticides, baiting systems, or other pest control techniques designed to eradicate the entire colony. These services aim to reduce ant populations effectively, preventing future invasions and minimizing the risk of damage or contamination caused by ants.

Ant problems can lead to various issues, such as property damage, contamination of food supplies, and general nuisance. Certain ant species, like carpenter ants, are known for damaging wood structures, which can compromise the integrity of a building if left untreated. Additionally, some ants may pose health concerns by contaminating food and surfaces or by triggering allergic reactions in sensitive individuals. Extermination services help address these problems by removing the ants and implementing preventative measures to discourage future activity.

Typically, ant extermination services are used in a variety of property types, including single-family homes, apartment complexes, restaurants, and retail stores. Residential properties often seek these services to protect their food supplies and maintain a clean living environment. Commercial properties, especially food establishments and warehouses, require regular pest control to comply with health regulations and avoid business disruptions. In industrial settings, professional extermination helps safeguard inventory and infrastructure from damage caused by persistent ant colonies.

Engaging with local pest control providers for ant extermination services ensures that property owners receive tailored solutions suited to their specific needs. These professionals assess the extent of the infestation, recommend appropriate treatment options, and offer advice on ongoing prevention. Properly executed extermination can help restore comfort and hygiene within the property while reducing the likelihood of recurring ant issues.

The overview below groups typical Ants Extermination Service projects into broad ranges so you can see how smaller, mid-sized, and larger jobs often compare in Richardson, TX.

In many markets, a large share of routine jobs stays in the lower and middle ranges, while only a smaller percentage of projects moves into the highest bands when the work is more complex or site conditions are harder than average.

Per-Visit Treatment - The cost for a single ant extermination visit typically ranges from $100 to $250, depending on the size of the affected area. Some providers may charge around $150 for standard residential treatments. Prices can vary based on the extent of the infestation.

Initial Inspection and Service - An initial inspection combined with treatment usually costs between $150 and $300. This fee covers assessment and targeted application to eliminate ant colonies. Larger or more complex properties may incur higher charges.

Ongoing Pest Control Plans - Monthly or quarterly ant control plans often range from $40 to $70 per visit, with annual contracts costing approximately $500 to $1,200. These plans typically include regular treatments to prevent future infestations.

Additional Services and Treatments - Extra charges may apply for specialized treatments or for treating multiple areas, with costs generally between $50 and $200 per additional service. Prices vary based on the treatment type and property size.

Actual totals will depend on details like access to the work area, the scope of the project, and the materials selected, so use these as general starting points rather than exact figures.

Get an Ants Extermination Service Quote

Ants Extermination services connect property owners with local pest control professionals who specialize in eliminating ant infestations. These experts assess the severity of the problem and implement targeted treatment plans to remove ants from residential and commercial spaces.

Ants Prevention services involve consultations with local providers to develop strategies that prevent future ant invasions. Professionals may recommend sealing entry points and maintaining cleanliness to reduce attractants.

Emergency Ant Control services link users with providers available for urgent ant removal needs. These specialists respond promptly to urgent infestations to help mitigate ongoing issues.

Indoor Ant Extermination services help connect users with pros experienced in treating ant problems within homes and buildings. They utilize techniques suitable for interior spaces to effectively eliminate colonies.

Outdoor Ant Control services involve coordinating with local experts to treat ant nests and colonies outside structures. These services aim to reduce outdoor ant populations and prevent indoor entry.

Ant Inspection Services services facilitate contact with professionals who can identify the extent of ant infestations and recommend appropriate treatment options. Inspections help determine the most effective extermination strategies.

Ants Extermination Service

When comparing ants extermination services, experience is an important factor to consider. Reputable local pros typically have extensive backgrounds in pest control, with many serving communities like Richardson, TX, for several years. Their familiarity with local ant species and common infestation patterns can contribute to more effective treatment strategies. It’s beneficial to review the backgrounds of different service providers to gauge their duration of operation and areas of specialization, helping to identify those with a proven track record in handling ant issues similar to what is experienced on your property.

Clear and written expectations are essential when choosing a pest control provider. Reputable local companies often provide detailed information about their methods, the scope of services offered, and any preparations needed before treatment. This transparency helps homeowners understand what to expect during and after the service, minimizing surprises and ensuring alignment on the process. When comparing options, look for providers who communicate their procedures openly and are willing to address any questions or concerns you may have about the extermination process.

Reputation and communication are key elements in selecting a reliable ant extermination service. Local pros with strong reputations often have references or reviews from previous clients within the community, reflecting their ability to deliver consistent results. Effective communication involves prompt responses, clarity in explaining treatment options, and a willingness to discuss follow-up or maintenance needs. While the information below introduces local options, it’s recommended to contact potential service providers directly to verify their reputation, discuss expectations, and ensure they are responsive to your specific ant control needs.

Get an Ants Extermination Service Quote

Property owners in Richardson, TX use Ants Extermination Service services for practical projects around their homes and businesses. The sections below highlight everyday jobs and straightforward project options.

Ants Extermination Service
Ants Extermination Service

Ants extermination services are commonly sought by property owners in Richardson, TX, facing persistent ant infestations that disrupt daily living or compromise property integrity. Whether ants are invading kitchens, pantry areas, or outdoor spaces, local service providers can assist with targeted treatments to eliminate colonies and prevent future issues. These services are often needed during warmer months when ant activity increases, helping residents maintain a clean and comfortable environment.

Property owners may also look for ant extermination when noticing signs of nesting, such as trails or damaged structures. Ant problems can sometimes indicate underlying issues like moisture or accessible entry points, prompting the need for professional assessment and treatment. Local contractors can offer solutions tailored to specific situations, ensuring that homes and businesses in Richardson, TX, remain ant-free and protected from recurring invasions.

Get an Ants Extermination Service Quote

How do ant extermination services work? Local pest control providers typically perform inspections to identify ant infestations and then apply targeted treatments to eliminate colonies and prevent future issues.

Are ant extermination treatments safe for pets and children? Service providers use treatments designed to minimize risks, but it’s recommended to follow specific safety instructions provided during or after treatment.

How long does an ant extermination treatment take? The duration varies depending on the extent of the infestation and the treatment method used, but most services are completed within a few hours.

Will I need multiple treatments to control an ant problem? Some ant species may require more than one treatment to fully eradicate the colony and ensure long-term control.

How can I prevent future ant infestations? Local pros often recommend ongoing sanitation, sealing entry points, and regular inspections to reduce the likelihood of future ant issues.

Ants Extermination Services - Local pest control providers offer targeted solutions to eliminate ant infestations effectively.

Inspection and Identification - Professionals assess the extent of ant activity and identify species to determine the most appropriate treatment methods.

Barrier Treatments - Service providers apply treatments around the property to prevent future ant entry and establish a protective barrier.

Ongoing Monitoring - Experts offer follow-up visits and maintenance plans to ensure ants do not return and infestations are kept under control.

Ants Extermination Service

Considering Ants Extermination Service for a property in Richardson, TX? The sections above highlight common project types, practical options, and details that often shape the scope of work.

When you are ready, use the quote form to share a few details about your project. Local pros can review the basics and respond with options that match what you have in mind.

Get an Ants Extermination Service Quote

Ants Extermination Quotes

Our Trusted Partners
Cantu Pest Control
Orkin
Hawx Pest Control