Local Service Overview

Get Ants Extermination Service in Plano, TX

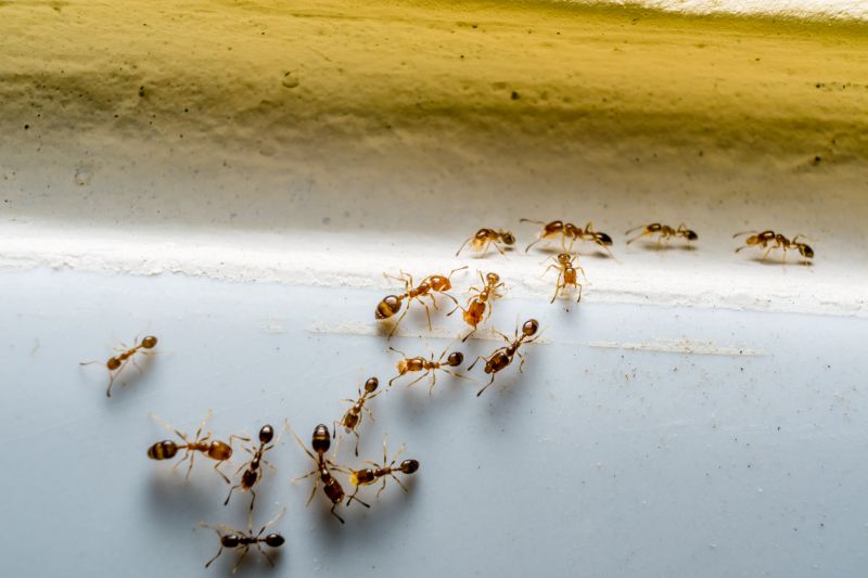
Ants extermination services for property owners in Plano, TX, and nearby areas address ant infestations, prevent future outbreaks, and handle residential and commercial pest control projects.

Plano, TX

Ants extermination services in Plano, TX are essential for property owners seeking to maintain a comfortable and safe environment. Ant infestations can disrupt daily routines and compromise the safety of a property by contaminating food and surfaces. Professional extermination providers use effective methods to eliminate existing colonies and prevent future invasions, helping to preserve the functionality of homes and businesses while reducing the need for ongoing pest management. By addressing ant issues promptly, property owners can enjoy a more comfortable living or working space with fewer disruptions.

Choosing expert ant extermination services also offers benefits related to curb appeal and durability. Eliminating ants and their nests helps protect the structural integrity of buildings and prevents damage caused by prolonged infestations. Maintaining a pest-free property enhances its visual appeal and can contribute to increased property value. Additionally, professional treatments often lead to reduced maintenance needs over time, as the likelihood of recurring ant problems diminishes, supporting long-term peace of mind for property owners in Plano, TX.

Get Ants Extermination Service Quotes

  • Ants Extermination services are needed when ants invade residential or commercial properties in areas like Plano, TX and nearby communities.
  • Ants Extermination is essential for homeowners dealing with persistent ant colonies in kitchens, bathrooms, or outdoor spaces.
  • Ants Extermination may be required after noticing ant trails or nests around homes or businesses in urban or suburban neighborhoods.
  • Ants Extermination services are useful when ant problems occur in new construction or during property renovations in the local area.
  • Ants Extermination is necessary for property managers seeking to prevent ant infestations in multi-unit buildings or common areas.

Get Ants Extermination Service Quotes

Ants Extermination Service
Ants Extermination Service
Ants Extermination Service

Ants extermination services involve professional treatments designed to eliminate ant infestations from residential and commercial properties. These services typically include thorough inspections to identify ant colonies and entry points, followed by targeted application of pest control solutions. The goal is to eradicate existing colonies and prevent future invasions, ensuring the property remains ant-free. Service providers may also offer advice on sanitation and structural repairs that can help reduce attractants and entry pathways for ants.

Ant infestations can cause various problems for property owners. Beyond the nuisance of constant ant activity, some species can damage structures by nesting within walls, insulation, or wooden fixtures. Additionally, ants can contaminate food supplies and surfaces, creating hygiene concerns in kitchens and storage areas. In certain cases, ant bites or stings may pose health risks, especially for individuals with allergies. Professional extermination services help address these issues by effectively removing the pests and implementing measures to minimize the risk of recurrence.

The types of properties that commonly utilize ant extermination services include single-family homes, apartment complexes, restaurants, and retail stores. Residential properties often seek assistance to protect food storage areas and maintain a clean living environment. Commercial establishments, particularly those involved in food service or hospitality, rely on pest control services to comply with health regulations and ensure customer safety. Additionally, property managers and landlords may contract these services to manage infestations across multiple units or common areas, maintaining a pest-free environment for tenants and visitors.

Professional ant extermination services typically involve a combination of chemical treatments, baiting systems, and preventive measures tailored to the specific property and infestation severity. Service providers may also offer ongoing monitoring and maintenance plans to ensure the pests do not return. The focus is on providing effective, targeted solutions that address the root causes of ant problems, helping property owners maintain a clean, pest-free environment. Contacting local pest control professionals is a recommended step for those facing persistent ant issues or seeking expert assistance.

The overview below groups typical Ants Extermination Service projects into broad ranges so you can see how smaller, mid-sized, and larger jobs often compare in Plano, TX.

In many markets, a large share of routine jobs stays in the lower and middle ranges, while only a smaller percentage of projects moves into the highest bands when the work is more complex or site conditions are harder than average.

Initial Inspection - The cost for an ant inspection typically ranges from $50 to $150, depending on the property size and infestation severity. Some providers may charge a flat fee or include it as part of the treatment package.

Basic Treatment - Standard ant extermination services usually cost between $100 and $300 for a single treatment. Larger properties or severe infestations may increase the price towards the higher end of this range.

Follow-up Visits - Follow-up treatments or inspections generally cost between $75 and $200 per visit. The total cost depends on the number of visits needed to fully eliminate the ant problem.

Integrated Pest Management - Comprehensive pest control plans incorporating multiple methods can range from $200 to $500 or more. These plans aim for long-term control and may include multiple visits and treatments.

Actual totals will depend on details like access to the work area, the scope of the project, and the materials selected, so use these as general starting points rather than exact figures.

Get an Ants Extermination Service Quote

Ants Extermination - Local pest control providers offer targeted ant extermination services to eliminate infestations in residential and commercial properties.

Ant Control for Homes - Service providers can implement treatment plans to address ant problems within houses, ensuring a pest-free living environment.

Commercial Ant Removal - Business-focused exterminators assist commercial property owners in controlling ant populations to maintain hygiene and safety standards.

Outdoor Ant Management - Professionals provide outdoor treatment solutions to prevent ant colonies from establishing around yards and landscaping.

Ant Infestation Inspection - Experts conduct thorough inspections to identify ant entry points and nesting sites, guiding effective treatment strategies.

Preventive Ant Treatments - Service providers offer preventative measures to reduce the likelihood of future ant invasions in various property types.

Ants Extermination Service

When comparing professionals for ant extermination services, experience is a key factor to consider. Homeowners should look for local providers with a proven track record in handling ant infestations, especially those familiar with the specific types of ants common to the area, such as in Plano, TX. An experienced contractor is more likely to understand effective treatment methods and offer solutions tailored to the unique challenges of local environments, increasing the likelihood of successful pest management.

Clear and written expectations are essential for a smooth service experience. Reputable local pros typically provide detailed descriptions of their process, what homeowners can expect during treatment, and any necessary preparations or follow-up steps. Having this information in writing helps set realistic outcomes and ensures that homeowners understand the scope of work, reducing potential misunderstandings or surprises.

Reputation and communication are also important considerations. Homeowners are encouraged to seek local providers with positive references and reviews from previous clients, which can serve as indicators of reliability and quality of service. Additionally, effective communication-prompt responses to inquiries, clarity in explanations, and openness to questions-can help establish trust and ensure that homeowners feel informed and comfortable throughout the process.

Get an Ants Extermination Service Quote

Property owners in Plano, TX use Ants Extermination Service services for practical projects around their homes and businesses. The sections below highlight everyday jobs and straightforward project options.

Ants Extermination Service
Ants Extermination Service

Ants extermination services are often sought by property owners in Plano, TX, facing persistent ant infestations in residential or commercial spaces. Common situations include discovering ant trails near kitchens, bathrooms, or entry points, which can indicate a larger problem that needs professional attention. Property owners may also seek extermination services after noticing increased ant activity during warmer months or following recent construction or landscaping changes that have disturbed ant nests.

These services are also frequently requested when homeowners or business owners want to prevent future ant problems or protect their property from potential damage. Ants can invade food storage areas, contaminate supplies, and create unsanitary conditions, prompting property owners to seek effective pest control solutions. Local service providers can assess the extent of the infestation, identify ant species, and recommend targeted treatments to address the issue efficiently.

Get an Ants Extermination Service Quote

How do ant extermination services work? Ant extermination services typically involve inspecting the property to identify ant colonies, applying targeted treatments to eliminate existing ants, and implementing preventive measures to reduce future infestations.

Are chemical treatments safe for my family and pets? Most professional ant extermination services use treatments that are safe when applied properly; it is recommended to discuss safety concerns with the local service provider.

How long does an ant extermination treatment last? The effectiveness duration varies depending on the treatment method and the severity of the infestation; a local professional can provide guidance based on specific circumstances.

Can I perform ant control myself? DIY ant control options are available, but professional services often provide more comprehensive solutions for persistent or large infestations.

What should I do to prepare for ant extermination services? Preparation may include cleaning the area, removing food and water sources, and informing the service provider of any specific concerns or problem areas.

Ants Extermination Techniques - Local pest control providers utilize various methods such as baiting, residual sprays, and dust treatments to eliminate ant colonies effectively.

Identifying Ant Infestations - Professionals can assess property conditions to locate ant entry points and nesting sites, helping to develop targeted treatment plans.

Preventive Ant Control - Service providers offer advice and treatments to reduce the likelihood of future ant invasions around residential and commercial properties.

Integrated Pest Management Strategies - Local pros may implement comprehensive approaches combining sanitation, exclusion, and targeted treatments to manage ant problems.

Ants Extermination Service

Considering Ants Extermination Service for a property in Plano, TX? The sections above highlight common project types, practical options, and details that often shape the scope of work.

When you are ready, use the quote form to share a few details about your project. Local pros can review the basics and respond with options that match what you have in mind.

Get an Ants Extermination Service Quote

Ants Extermination Quotes

Our Trusted Partners
Cantu Pest Control
Orkin
Hawx Pest Control